ÅÚÃÏ ·úʪ80m2 ÅÚÃÏ100m2 30ʬ°ÊÆâ ¿·ÃÛ¤Îʪ·ï°ìÍ÷
37·ï¸«¤Ä¤«¤ê¤Þ¤·¤¿¡ª ¢ä ¸¡º÷²èÌ̤ˤâ¤É¤ë
²ñ°÷¸ÂÄêʪ·ï¡Ê33·ï¡Ë¤ò±ÜÍ÷¤¹¤ë¤Ë¤Ï²ñ°÷ÅÐÏ¿¤¬É¬ÍפǤ¹¡£
- ¡Ú¹Ê¹þ¤ß¾ò·ï¡Û¡¡¢ä ¥ê¥»¥Ã¥È
- ÅÚÃÏ
- ÅÚÃÏ¡§100-200Ê¿ÊÆ
- ·úʪ¡§80-90Ê¿ÊÆ
- ÃÛ1ǯ°ÊÆâ
- ÅÌÊâ30ʬ°ÊÆâ
| 37·ïÃæ¡¡ 1¡Á30·ïɽ¼¨ | |
| ʤÙÂØ¤¨¡§ ²Á³Ê¢¬ ¹¹¿·Æü¢¬ ÃÛǯ¢¬ |
|
|
|
|
|
|
|
|
|
|
|
|
|
|
|
|
|
|
|
| ¢¡¥Ö¥ë¡¼¥é¥¤¥óÀþ¡Ö²¼±Êë±Ø¡×ÅÌÊâ9ʬ¤Ç¥¢¥¯¥»¥¹²Äǽ¢ö ¢¡56ÄÚͤÎÀ°·ÁÃϤǤ´´õ˾¤Î·úʪ¤ò·ú¤Æ¤ë¤³¤È¤¬²Äǽ... | ||||||||||||||||||||||
|---|---|---|---|---|---|---|---|---|---|---|---|---|---|---|---|---|---|---|---|---|---|---|
|
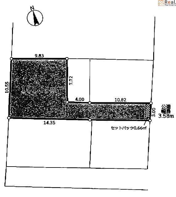
ÅÚÃÏ
²£ÉͻԹÁÆî¶è¾å±Ê룶ÃúÌÜ ÅÚÃÏ 4,280Ëü±ß
1/19
|
||||||||||||||||||||||
|
|
| ¢¡4Ï©Àþ3±Ø¤ØÅÌÊâ¤Ç¥¢¥¯¥»¥¹²Äǽ¤ÊÊØÍø¤ÊΩÃÏ¢ö ¢¡·úÃÛ¾ò·ï̵¤·¤Î°Ù¤ª¹¥¤¤Ê¥Ï¥¦¥¹¥á¡¼¥«¡¼¤Ç·úÃÛ²Äǽ¤Ç¤¹¢ö... | ||||||||||||||||||||||
|---|---|---|---|---|---|---|---|---|---|---|---|---|---|---|---|---|---|---|---|---|---|---|
|
ÅÚÃÏ
²£ÉͻԿÀÆàÀî¶è°°¥±µÖ ÅÚÃÏ 4,640Ëü±ß
1/4
|
||||||||||||||||||||||
|
|
|
|
|
|
|
| 37·ïÃæ¡¡ 1¡Á30·ïɽ¼¨ | |
| ʤÙÂØ¤¨¡§ ²Á³Ê¢¬ ¹¹¿·Æü¢¬ ÃÛǯ¢¬ |

¥á¥ê¥Ã¥È
1
°ìÈ̤ÎÊý¤Ë¤Ï¸ø³«¤Ç¤¤Ê¤¤
²ñ°÷¸ÂÄêʪ·ï¾ðÊó¤ò±ÜÍ÷²Äǽ¤Ë
ʪ·ï¤òõ¤¹ºÝ¡¢ÉÔÆ°»º¥Ý¡¼¥¿¥ë¥µ¥¤¥È¤òÍøÍѤµ¤ì¤ëÊý¤Ï¿¤¤¤È»×¤¤¤Þ¤¹¡£
ÉÔÆ°»º¥Ý¡¼¥¿¥ë¥µ¥¤¥È¤Ë¤Ï¡¢¤´¤¯°ìÉô¤Îʪ·ï¤·¤«·ÇºÜ¤Ç¤¤Ê¤¤»ÅÁȤߤˤʤäƤ¤¤ë¤Î¤Ï¤´Â¸ÃΤǤ¹¤«¡©
À¤¤ÎÃæ¤Ë¤Ï¾ðÊó¼è¤ê°·¤¤µ¬Â§Åù¡¢¤µ¤Þ¤¶¤Þ¤ÊÍýͳ¤Ë¤è¤ê°ìÈ̸ø³«¤Ç¤¤Ê¤¤Êª·ï¤È¤¤¤¦¤â¤Î¤¬Â¸ºß¤·¤Þ¤¹¡£
ÊÀ¼Ò¤Ç¤Ï²ñ°÷ÅÐÏ¿¤·¤Æ¤¤¤¿¤À¤¯¤³¤È¤Ç¡¢¤³¤Á¤é¤Îµ®½Å¤Ê²ñ°÷¸ÂÄêʪ·ï¤ò±ÜÍ÷¤Ç¤¤ë¥æ¡¼¥¶¡¼ID¡¦¥Ñ¥¹¥ï¡¼¥É¤Îȯ¹Ô¤ò¹Ô¤Ã¤Æ¤ª¤ê¤Þ¤¹¡£
²ñ°÷¸ÂÄêʪ·ï¤È¤Ï
-
- 1¹¹ð¤Ë·ÇºÜ¤Ç¤¤Ê¤¤Êª·ï
- ¡ÖÉÔÆÃÄê¿¿ô¤Ë¸«¤é¤ì¤ë¤Î¤¬·ù¡×¡Ö¸½ÃϼþÊդ˿ͤ¬½¸¤Þ¤ë¤Î¤¬·ù¡×Åù¡¢Çä¼çÍͤΤ´ÅÔ¹ç¤Ë¤è¤ê¹¹ð·ÇºÜµö²Ä¤Î²¼¤ê¤Æ¤¤¤Ê¤¤Êª·ï

-
- 2¹¹ð·ÇºÜ¤Ê¤·¤ÇÇä¤ì¤ëʪ·ï
- ¤ï¤¶¤ï¤¶¹¹ð·ÇºÜ¤·¤Ê¤¯¤Æ¤â¡¢¤¹¤°¤ËÇä¤ì¤Æ¤·¤Þ¤¦¿Íµ¤¤Î¤¢¤ëʪ·ï¤ä¤ªÇ㤤ÆÀ¤Êʪ·ï

-
- 3ÃͲ¼¤²¤·¤Æ¤¤¤ë(ͽÄê)ʪ·ï
- Çä¼çÍͤ«¤éÆâ¡¹¤ÇÃͲ¼¤²¾ðÊó¤ò¶µ¤¨¤ÆÄº¤¤¤Æ¤¤¤ëʪ·ï

-
- 4ÈÎÇäͽÄê¤Îʪ·ï
- ¤³¤ì¤«¤éÈÎÇä¤ò³«»Ï¤¹¤ëʪ·ï¤Ç¡¢¤Þ¤À²Á³Ê¤Ê¤É¤Î¾ÜºÙ¤¬·è¤Þ¤Ã¤Æ¤¤¤Ê¤¤Êª·ï

-
- 5ÈÎÇ䳫»Ï¤·¤Æ´Ö¤â¤Ê¤¤Êª·ï
- ÉÔÆ°»º¥Ý¡¼¥¿¥ë¥µ¥¤¥È¤Ë¤Þ¤À¹¹ð·ÇºÜ¤¬´Ö¤Ë¹ç¤Ã¤Æ¤¤¤Ê¤¤¡¢¤³¤ì¤«¤é·ÇºÜͽÄê¤Îʪ·ï

²ñ°÷¸ÂÄêʪ·ï¤Î¥á¥ê¥Ã¥È¤È¤Ï
-
- 1¶¥ÁèΨ¤ÎÄ㤵
- µ¤¤ËÆþ¤Ã¤¿Êª·ï¤¬´û¤ËÀ®ÌóºÑ¤ß¤À¤Ã¤¿¤È¤¤¤¦¤³¤È¤Ï¤è¤¯¤¢¤ëÏäǤ¹¡£¤·¤«¤·¡¢²ñ°÷¸ÂÄêʪ·ï¾ðÊó¤Ê¤é¡¢Êª·ï¤ò¤ªÃµ¤·¤Ë¤Ê¤Ã¤Æ¤¤¤ëÊÀ¼Ò¤Î¤ªµÒÍͤˤ¤¤ÁÁ᤯¿·Á¯¤Ê¾ðÊó¤ò¤ªÆÏ¤±¤·¡¢¶¥ÁèΨ¤ÎÄ㤤¾õÂ֤Ǥ´¸¡Æ¤Äº¤±¤Þ¤¹¡£

-
- 2¥»¥ß¥ª¡¼¥À¡¼´¶³Ð¤Ë
- Èæ³ÓŪ¡¢¹¹ÃϤξõÂ֤Ǥ¢¤ë¸½ÃϤ¬Â¿¤¤°Ù¡¢¥Õ¥ê¡¼¥×¥é¥óÂбþ¤ä´Ö¼è¤ê¤ÎÊѹ¹¡¢ÁǺà¤ä¿§¤ÎÁªÄê¤Ê¤É¥»¥ß¥ª¡¼¥À¡¼´¶³Ð¤Îʪ·ï¾ðÊó¤â¿¤¯´Þ¤Þ¤ì¤Æ¤¤¤ë°Ù¡¢²È¤¤ê¤Î³Ú¤·¤ß¤Î¾¡¢·úÃÛ¹ÔÄø¤â¤ªµÒÍͤÎÌܤǤ´³Îǧ失¤Þ¤¹¡£

-
- 3¤ª¹¥¤ß¤Î¶è²è¤òÁª¤Ù¤ë
- ¿Å︽¾ì¤Îʪ·ï¤Î¾ì¹ç¤Ë¤Ï¡¢¾ðÊó¤¬Áᤤ¤Û¤É¤ª¹¥¤ß¤Î¶è²è¤òÁª¤ó¤Ç¤¤¤¿¤À¤±¤ë²ÄǽÀ¤¬¹â¤Þ¤ê¤Þ¤¹¡£

²ñ°÷ÅÐÏ¿¤ò¤·¤Æ¥á¥ê¥Ã¥ÈËþºÜ¤Î²ñ°÷¸ÂÄêʪ·ï¾ðÊó¤òÆþ¼ê¤·¤Þ¤·¤ç¤¦
¥á¥ê¥Ã¥È
2
ÃͲ¼¤²Êª·ï¡¢´Ö¼è¤ê¿Þ¡¦¼Ì¿¿¤Ê¤É
ÆÃÊ̾ðÊó¤ò¨ºÂ¤Ë¤ªÆÏ¤±¡ª
ÃͲ¼¤²Êª·ï¡¢´Ö¼è¤ê¿Þ¡¦¼Ì¿¿¤Ê¤ÉÆÃÊ̾ðÊó¤ò¨ºÂ¤Ë¤ªÆÏ¤±¡ª
¤´´õ˾¤Îʪ·ï¾ðÊó¤òÅÐÏ¿¤·¤Æ¤¤¤¿¤À¤¤¤¿²ñ°÷¤ÎÊý¤Ë¡¢¾ò·ï¤Ë¥Þ¥Ã¥Á¤¹¤ë¿·µ¬Êª·ï¤¬ÅÐÏ¿¤µ¤ì¤¿ºÝ¤Ë¥á¡¼¥ë¤Ç¤ªÃΤ餻¤¹¤ë¥·¥¹¥Æ¥à¤Ç¤¹¡£
¤Þ¤¿ÃͲ¼¤²Êª·ï¡¢¥í¡¼¥ó¥¥ã¥ó¥»¥ë¤Îʪ·ï¡¢¿ÞÌÌ¡¦¼Ì¿¿¤Ê¤É¡¢ÆÃÊ̤ʾðÊó¤â¨ºÂ¤Ë¤ªÅÁ¤¨Ãפ·¤Þ¤¹¡£
¥á¥ê¥Ã¥È
3
ʪ·ï´ÊñÌä¹ç¤ï¤»
ÌÌÅÝ¤ÊÆþÎϺî¶È¤ò¤¹¤Ù¤Æ¾Êά
½»½ê¤äÅÅÏÃÈÖ¹æ¤òÅÐÏ¿¤·¤Æ¤ª¤±¤Ð¡¢¤ªÌä¹ç¤ï¤»¤ÎºÝ¤ËÌÌÅÝ¤ÊÆþÎϺî¶È¤ò¾Êά¤¹¤ë¤³¤È¤¬¤Ç¤¤Þ¤¹¡£
¤¢¤ï¤»¤Æ´õ˾¾ò·ï¤òÆþÎϤ·¤Æ¤¤¤¿¤À¤±¤ì¤Ð¡¢»öÁ°¤Ë¤¢¤Ê¤¿¤Î¤´´õ˾¤òÇİ®¤·¤¿¾å¤Ç¡¢¤´Ï¢Íí¤ò¤µ¤»¤ÆÄº¤¤Þ¤¹¡£
¥á¥ê¥Ã¥È
4
¥Þ¥¤¥Ú¡¼¥¸µ¡Ç½¤Î¤´ÍøÍÑ
¤´´õ˾¾ò·ï¤ÎÅÐÏ¿¤Ç¡¢¤´´õ˾¤Ë¥Þ¥Ã¥Á¤¹¤ëʪ·ï¿ô¤ò½Ö»þ¤Ëɽ¼¨
¥Þ¥¤¥Ú¡¼¥¸¤Ç¤Ï¡¢¤ªµÒÍͤΤªÃµ¤·Êª·ï¾ò·ï¤òÅÐÏ¿¤·¤Æ¤ª¤¯¤³¤È¤¬¤Ç¤¤Þ¤¹¡£
¾ò·ï¤òÊѹ¹¤¹¤ë¤È¥ê¥¢¥ë¥¿¥¤¥à¤Ç½Ö»þ¤Ë³ºÅöʪ·ï¿ô¤¬É½¼¨¤µ¤ì¡¢°ìÍ÷ɽ¼¨¤â´Êñ¤Ç¤¹¡£
¤Þ¤¿¡¢²áµî¤Ë±ÜÍ÷¡¦¤ªÌä¹ç¤ï¤»¤·¤¿Êª·ï¾ðÊó¤ò±ÜÍ÷¡¦´ÉÍý¤¹¤ë¤³¤È¤¬¤Ç¤¤Þ¤¹¡£
²ñ°÷ÅÐÏ¿¤ò¤·¤ÆÍýÁۤΥޥ¤¥Û¡¼¥àÀ¸³è¤Ë°ìÊâ¶á¤Å¤¤Þ¤·¤ç¤¦

1/19













